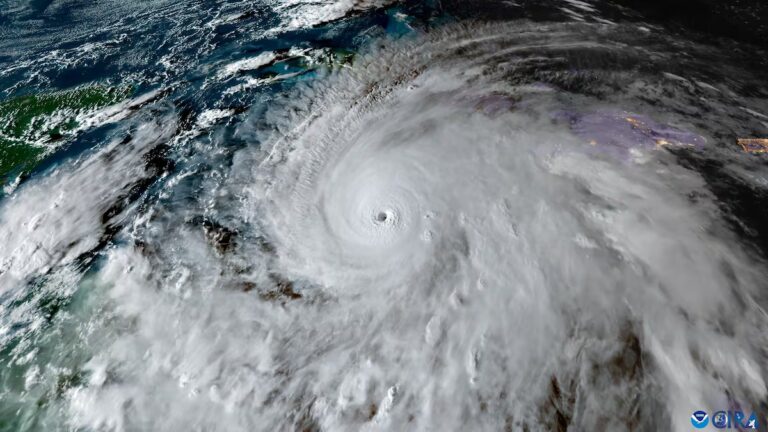
El huracán Melissa ya abandonó la isla de Cuba y continúa su curso en el Atlántico con dirección a las Bahamas, debilitándose a categoría 1. Sin embargo, su influencia afectará severamente al oriente de la mayor de las antillas durante todo el miércoles.
Melissa tocó tierra en la costa oriental de Cuba en las primeras horas de este miércoles 29 de octubre como un huracán categoría 3, con vientos sostenidos superiores a los 200 kilómetros por hora y lluvias torrenciales. Las autoridades de la mayor de las Antillas mantienen un monitoreo constante sobre la trayectoria y posibles impactos en las próximas horas.
Hasta el momento, se registran 25 personas fallecidas a los efectos asociados a Melissa en su paso por el Caribe: al menos cuatro de ellos en Jamaica, 20 en Haití y uno en República Dominicana.
